-
- Rodzaj aktu prawnego Uchwała
- Rok podjęcia (podpisania) 2019
- Status Obowiązujący
- Sesja XI
- Data podjęcia (podpisania) 30.10.2019
- Data rozpoczęcia obowiązywania ..
- Data wejścia w życie ..
- Data publikacji w dzienniku urzędowym Nie opublikowano
- Nr publikacji w dzienniku urzędowym Nie dotyczy
- Pozycja w dzienniku urzędowym Nie opublikowano
- Nr aktu prawnego XI/93/19
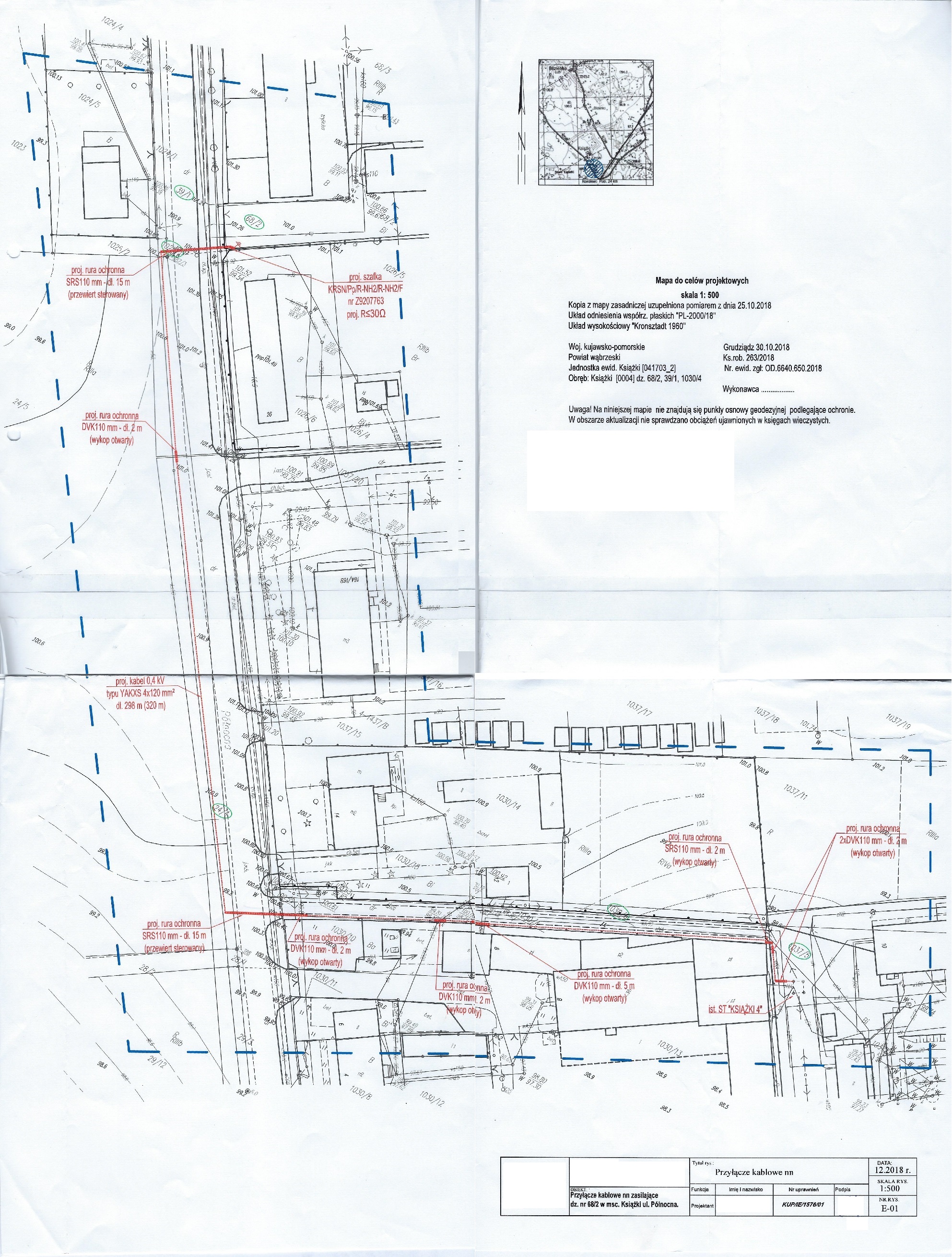
- Czego dotyczy dodawany akt prawny Uchwała w sprawie wyrażenia zgody na ustanowienie służebności przesyłu na nieruchomościach stanowiących własność Gminy Książki
- Podstawa prawna wydania Na podstawie art. 18 ust. 2 pkt. 9 lit a) ustawy z dnia 8 marca 1990 r. o samorządzie gminnym (Dz. U. z 2019 r. poz. 506 z późn. zm.), art. 13 ust. 1 ustawy z dnia 21 sierpnia 1997 r. o gospodarce nieruchomościami (Dz. U. z 2018 r. poz. 2204 z późn. zm.) oraz art. 285 i 3051 ustawy z dnia 23 kwietnia 1964 r. Kodeks Cywilny (Dz. U. z 2019 r. poz. 1145 z późn. zm.)
- Grupa aktów prawnych Uchwała
- Typ treściAkty prawne
Załączniki
| Uchwała.XI.93.19.2019-10-30 | dodany: 08:33, 05.11.2019 | przez: Robert Wilczyński | |
| Zał. 1 do Uchwały.XI.93.19 | dodany: 08:33, 05.11.2019 | przez: Robert Wilczyński |
